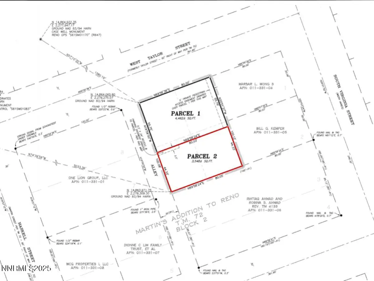
Unbeatable Midtown location-steps to the heart of the district’s shopping, bars, coffee, and restaurants, with quick access to Downtown. This raw land (partially paved) site comes fully designed and entitled for a 6-unit multifamily building under MU-MC (Mixed Use – Midtown Commercial) zoning, offering exceptional infill upside in Reno’s most walkable neighborhood. Zoning: MU-MC (Midtown Commercial) —no maximum residential density within one block of S. Virginia St. Site size: =3,548 SF (0.081 ac); APN 011-331-02. Parking plan: Code calc = 1 space/unit with a 60 percent reduction (2.4 required); design provides 5 on-site plus 2 on-street. Utilities: Planned connections to City water and City sewer. Finished Product: A contemporary, sprinklered 3-story + loft wood-frame apartment building called “Midtown 6.” Total building area ~4,100 SF (“1,100 SF per floor × 3 levels + 800 SF of loft), six units total, and a building height of ~44′-10”.
Property Details
Price:
$228,000
MLS #:
250058952
Status:
Active
Beds:
0
Baths:
0
Type:
Land
Subdivision:
Martin`S Addition
Listed Date:
Dec 10, 2025
Lot Size:
3,528 sqft / 0.08 acres (approx)
See this Listing
Schools
Elementary School:
Mt. Rose
Middle School:
Swope
High School:
Reno
Interior
Exterior
Other Structures
None
Financial
Taxes
$795
Map
Community
- Address30 W Taylor Street Reno NV
- SubdivisionMartin`S Addition
- CityReno
- CountyWashoe
- Zip Code89509
Market Summary
Property Summary
- Located in the Martin`S Addition subdivision, 30 W Taylor Street Reno NV is a Land for sale in Reno, NV, 89509. It is listed for $228,000 and features 0 acres.
Similar Listings Nearby
Courtesy of Marmot Properties, LLC. Disclaimer: All data relating to real estate for sale on this page comes from the Broker Reciprocity (BR) of the Northern Nevada Regional MLS. Detailed information about real estate listings held by brokerage firms other than Ascent Property Group include the name of the listing broker. Neither the listing company nor Ascent Property Group shall be responsible for any typographical errors, misinformation, misprints and shall be held totally harmless. The Broker providing this data believes it to be correct, but advises interested parties to confirm any item before relying on it in a purchase decision. Copyright 2025. Northern Nevada Regional MLS. All rights reserved. 30 W Taylor Street
Reno, NV




